Gun sales spike after President Biden's announcement | FOX 5 News

Gun sales spiked on Thursday after President Joe Biden announced action to crack down on certain types of guns. Subscribe to … source
4 Canadian NHL Players Charged with Sexual Assault Stemming from Alleged 2018 Incident

Four current NHL players have been charged with sexual assault in connection with a 2018 incident while they were playing for Canada’s world junior team. On Tuesday, Carter Hart of the Philadelphia Flyers, Dillon Dube of Calgary, and Michael McLeod and Cal Foote of the New Jersey Devils were charged with sexual assault and placed […]
LAURA INGRAHAM: We cannot afford another protracted conflict in the Middle East

Fox News host Laura Ingraham criticized President Biden’s response to the killing of three US soldiers in Jordan.Ingraham Angle. ” Laura Ingraham: In the aftermath of Sunday’s nightmarish attack on U.S. military personnel in Jordan, Republicans rushed to demand: biden Launch large-scale military retaliation against Iran. MSNBC’s Joy Reid drops F-bomb in heated mic moment […]
TV tonight: a fresh and freaky drama about a coven of modern witches | Television

domino day 9pm, BBC Three You know what it’s like. You meet a similar date who is waving major red flags, but they end up sucking the life out of you. Except in this spicy supernatural drama, Domino Dei (Sienna Kelly) literally Suck it up – She is a witch who needs energy to survive. […]
Living Like Royalty: Retired Nick Saban Is Out Here Golfing With Rappers 50 Cent, Travis Scott

Okay, Nick … I see you. Nick Saban might have been the king of college football, but here in retirement, this dude is still living like a royal — just take, for example, how he recently hung out and golfed with a couple of hip-hop superstars. After winning seven national championships (six with Alabama), Saban […]
Indian origin man sentenced for $2.8 million healthcare fraud in US – Hindustan Times

A US court has sentenced an Indian man to nine years in prison for his role in a massive healthcare fraud that defrauded Medicare of approximately $2.8 million. Indian man sentenced to 9 years in prison in US for $2.8 million healthcare fraud {{^userSubscribed}} {{/userSubscribed}} {{^userSubscribed}} {{/userSubscribed}} Yogesh K. Pancholi, 43, of Northville, Michigan, was […]
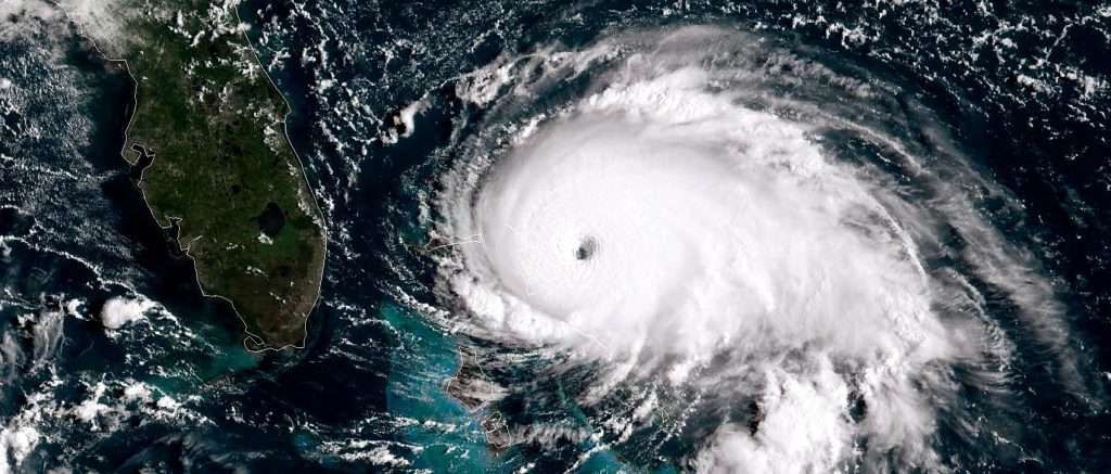
WARNING: It Appears That We’re In For One Hell Of A Violent Hurricane Season In 2024

As a Hurricane enthusiast, I’m excited. As a Floridian, well… The 2023 hurricane season has been a busy one.In fact, it is 4th most active activity on recordand this action was a result of the world record sea temperatures that were occurring around the world. Record-breaking temperatures and a stormy season held strong throughout 2023, […]
Bertha Yalter allegedly tried to smother husband with pillow over message from ex

A Florida woman has been charged with allegedly trying to suffocate her longtime husband with a pillow after his ex-boyfriend of 60 years sent him a text message, authorities said. Bertha Yalter, 71, was charged with attempted murder in the alleged attack inside her Miami-Dade County home on Sunday, but her attorney told the Post […]
RNC averts fireworks at major meeting after scrapping resolution to name Trump the presumptive GOP nominee

In the end, there was a possibility that there would have been a fist fight within the party, but everything turned out okay. Members of the Republican National Committee gathering for its annual winter meeting in Las Vegas this week are unlikely to see any political fireworks over the party’s divisive presidential primary battle. The […]
Wichita woman suspected in death of 14-year-old son is wounded by police

A Kansas woman suspected of fatally shooting her 14-year-old son was shot and wounded by police. A 43-year-old woman was shot early Monday morning after several hours of negotiations but is expected to survive. Officers were called to the apartment Sunday night after the boy’s father requested a welfare check. A Kansas woman was shot […]